アクアノートダイビングログ
海の新着情報


・アクアノートのファンダイビング、ダイビングツアーのダイビングログ(ダイビング記録)です。
・アクアノートでスキューバダイビング実施した場合できるだけログ更新しています。(更新しないこともあります)
・携帯サイトからも閲覧可能です。http://www.diving.jp/にアクセスしよう!

前ページTOPページ次ページHOMEページ

バリツアー20inヌサペニダ
2005/09/22
クリックすると大きくなりますクリックすると大きくなります クリックすると大きくなります
ツアー11本目マンタポイント
エントリーしたら透明度悪く...
これでマンタ見れるのだろうかと思いきや3枚通り過ぎる...
4枚目は少し遊んでくれる。
5枚目はなんとブラックマンタ!
かっこいい!長い時間遊んでくれる。
次がなかなかでず、アカエイ2匹と遊ぶ。
ダイブ終了間際6枚目!他のグループとの間でうろちょろ
12本目クリスタル
ポイント名どおりの珊瑚の綺麗なポイント...
マンボウ狙いなので遠く見ていると...
いきなりマンボウ出現!(高さ3mとデ..デカ)
まずは他の人に知らせるためダイブベルを鳴らすも泳ぎが速く去っていってしまう。
13本目トヨパカ
マンボウ狙いではいるも出ず
しかしなんとも広大に広がるサンゴ礁...どこまで続いているのやら...凄過ぎる!

バリツアー19inチャンディダサ
2005/09/21
クリックすると大きくなりますクリックすると大きくなります クリックすると大きくなります
陸路をチャンディダサへ
リゾートに到着後ゆっくりと休憩
明日よりヌサペニダへ(見るぞマンボウ!)

バリツアー18inトランバン
2005/09/21
クリックすると大きくなりますクリックすると大きくなります クリックすると大きくなります
10本目続き
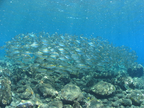
あきらめかけたそのとき遠くで魚の大群の影が...
近づくとササムロの群れでした...
また再びマクロウォッチに...
(ヨコシマエビ、ヒトデヤドリエビ、ラベンダーウミウシ、ボンボリイロウミウシなど)
最後にあがる間際にギンガメ大群発見!
これで心置きなくチャンディダサへ...
(昨日、今日と別グループは同じトランバンでマンボウ見たとのこと...恐るべしトランバン)

バリツアー17inトランバン
2005/09/21
クリックすると大きくなりますクリックすると大きくなります クリックすると大きくなります
休息後
ツアーダイブ10本目川下〜ミンピ
トランバン最終日なので先ほど見れなかったギンガメ求め別の場所へ
ギンガメ目的のはずが...マクロウォッチに集中してしまう。

バリツアー16inトランバン
2005/09/21
クリックすると大きくなりますクリックすると大きくなります クリックすると大きくなります
9本目続き
浅いところに戻って珊瑚&熱帯魚の乱舞を楽しむ

前ページTOPページ次ページHOMEページ


アクアノート
福岡市東区大岳1-12-27
Copyright (C) 1999-2010 AQUANAUT Co.,Ltd. All rights reserved.
ウェブサイト内のコンテンツ(文書、映像、音声、プログラム等)について、権利者の許可なく複製、転用等する事は法律で禁止されています。
- Topics Board Edit by AQUANAUT - Skin by Web Studio Ciel